Bilocale in vendita

Seregno, Via L. Colzani
€ 150.000
2 locali 2 locali
69 Mq 69 Mq
1 bagno 1 bagno

Bilocale in vendita

Seregno, Via L. Colzani

Descrizione annuncio

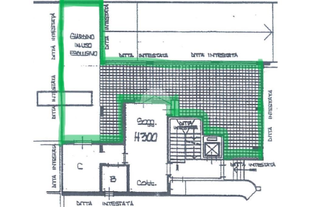
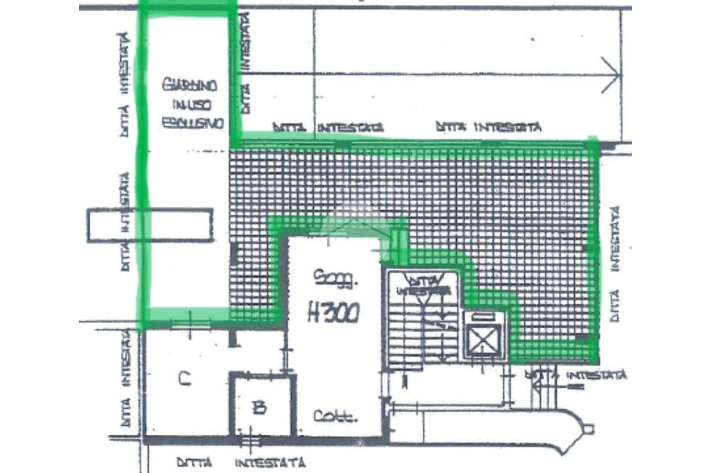
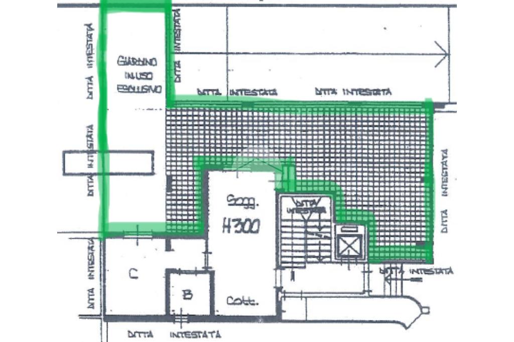
Seregno – Zona Sant’Ambrogio Bilocale con spazio esterno privato.

In una zona comoda e ben servita di Seregno, nel quartiere Sant’Ambrogio, proponiamo un bilocale al piano terra ideale per chi cerca praticità e uno spazio esterno esclusivo.

L’ingresso apre su un soggiorno con cucina a vista, collegato direttamente allo spazio esterno privato, composto da una parte coperta tipo portico, perfetta da vivere in ogni stagione, e da una zona piastrellata scoperta, riservata e ordinata, ideale come area relax o sfogo esterno funzionale.

Un disimpegno accompagna alla zona notte, dove troviamo una camera matrimoniale e un bagno finestrato con vasca.

Completa la proprietà la cantina al piano seminterrato, inclusa nel prezzo, con box disponibile a parte per €15.000.

Una soluzione interessante per chi desidera il comfort del piano terra, una zona servita e un pratico spazio esterno privato.

Mostra tutto

Nelle vicinanze

Trasporto pubblico Trasporto pubblico
stazione di Seregno
stazione di Seregno
770 m
Seveso-Baruccana
Seveso-Baruccana
2,6 Km
Servizio urbano di Seregno: linea 3 - VIA NAZIONI UNITE
Servizio urbano di Seregno: linea 3 - VIA NAZIONI UNITE
160 m
Z250 - SEREGNO Colzani/Solferino
Z250 - SEREGNO Colzani/Solferino
230 m
Seveso-Baruccana
Seveso-Baruccana
2,7 Km
Ricariche auto elettriche Ricariche auto elettriche
In's Mercato
2,3 Km
U2 Supermercato Meda | EnelX
2,3 Km
Scuole Scuole
Scuola parrocchiale paritaria S. Ambrogio (scuola dell'infanzia R. G. Mariani, scuola prima e secondaria di primo grado S. Ambrogio)
370 m
Scuola Primaria Gianni Rodari
420 m
Liceo Giuseppe Parini
1,1 Km
Scuola Secondaria di Primo Grado Giuseppe Mercalli
1,1 Km
Scuola Primaria Luigi Minotti
1,2 Km
Farmacia Farmacia
Comunale 3
300 m
Comunale 1
630 m
Farmacia Bizzozero
1,1 Km
Farmacia Masera
1,2 Km
Parafarmacia Colombo
1,2 Km
Ospedali Ospedali
Ospedale Trabattoni e Ronzoni
1,6 Km
Ospedale di Desio
1,6 Km
Supermercati Supermercati
Eurospin
250 m
Iperal
610 m
Naturasì
790 m
MD Market Seregno
950 m
Simply Market
1,2 Km
Negozi Negozi
Oasi verde
550 m
Picchiotini Mario merceria
620 m
Negozi
670 m
Hangar 107
780 m
SportIT
780 m
Bar Bar
Vanilla Cafè
440 m
Café Sottosopra
450 m
Bar H
860 m
Doctor Jazz
950 m
Blu Caribe
950 m
Ristoranti Ristoranti
Country Pizzeria
40 m
Harmony
470 m
Euro pizza
590 m
Il boccale
790 m
Sushi Club
810 m
Mostra tutto

Caratteristiche

Rif.:
61163904
Piano:
Terra di 3 con ascensore
Totale piani:
3
Box:
1
Camere da letto:
1
Arredamento:
Assente
Mostra tutto
Prezzo Prezzo
€ 150.000
Prezzo box Prezzo box
€ 15.000
Rata mutuo Rata mutuo
€ 712 / mese
Spese annue Spese annue
€ 1.000
Proponi il tuo prezzoProponi il tuo prezzo

Classe Energetica

F
F
F
F
F
F
F
F
F
EP globale non rinnovabile:
250.90 kW h/m² anno
EP globale rinnovabile:
0.00 kW h/m² anno
EP invernale del fabbricato:
EP estiva del fabbricato:
Anno di costruzione:
1980
Riscaldamento:
Autonomo
Tipo impianto:
A radiatori
Tipo alimentazione:
Metano

Ti interessa visionare l'immobile?

Fissa un appuntamento  Fissa un appuntamento

Richiedi informazioni

Clicca su Leggi per aprire l'informativa
* Questi campi sono obbligatori

Calcola il tuo mutuo

Semplice e senza impegno
Anticipo

( % )
Mutuo

( % )

pochi semplici passi

inserisci i tuoi dati
Questionario completato
Grazie per aver richiesto un appuntamento senza impegno con un nostro Consulente del Credito e Assicurativo.

Hai inserito correttamente tutti i dati necessari e a breve riceverai una e-mail con un link da convalidare per inviare i tuoi dati.
Affiliato
Ad Maiora Srl
Viale Mazzini, 4 20831 Seregno (MB)

Il nostro staff


  • Simone Meroni
    Affiliato

  • Domenico Dominici
    Responsabile

  • Andreea Dandu
    Collaboratrice

  • Alice Scapellato
    Coordinatrice
Viale Mazzini, 4 20831 Seregno (MB)
Zona: Seregno Centro-Stazione
Mostra su mappa
Orari: da lunedì a venerdì dalle 9:00 alle 12:30 e dalle 14:30 alle 19.30;sabato dalle 09:00 alle 12:30 e dalle 14:30 alle 18:00
Affiliato
Ad Maiora Srl
Viale Mazzini, 4 20831 Seregno (MB)

2026 Tecnocasa Franchising S.p.A. - P. IVA 08365160152 - Via Monte Bianco 60/A 20089 Rozzano (MI). Ogni agenzia ha un proprio titolare ed è autonoma. Privacy policy | Policy utilizzo | Cookie policy